Authorities and UIT’s Online Services
Urban Housing and Development Department, Government of Rajasthan
                Urban Housing and Development Department, Government of Rajasthan
View Auction[ Jaipur Development Authority ]
Auction Details
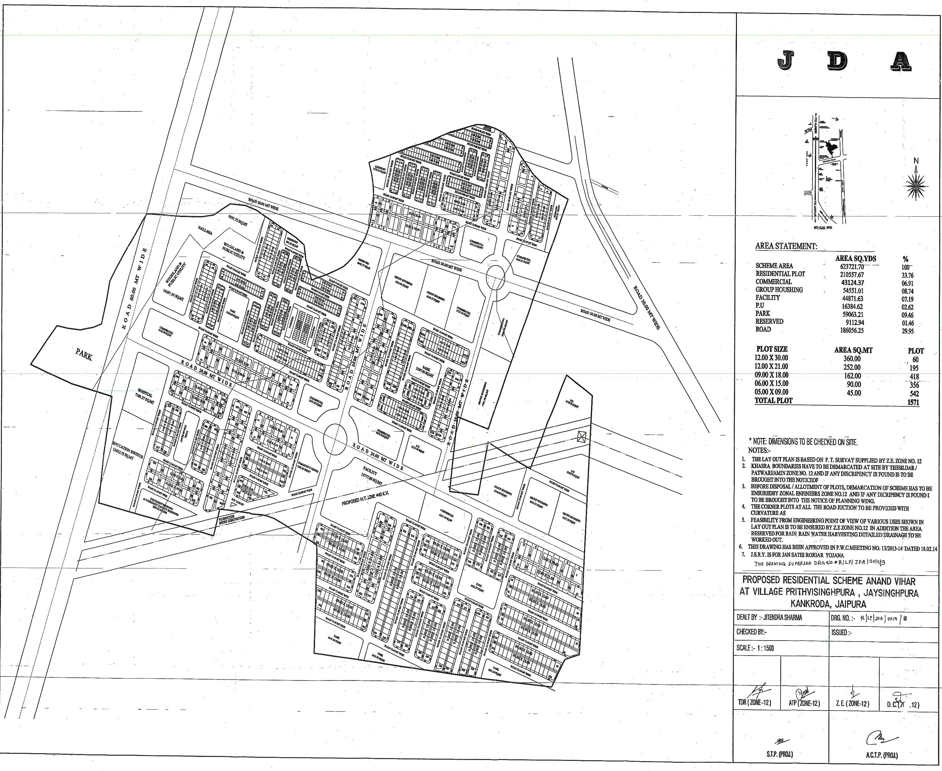
| ID/Title | : | [31599] / Residential Plot No. 761(Corner) Anand Vihar Scheme, Jaipur | |||
| Auction Refreance No | : | JDA/OSD(RM)/2024-25 | Auction Refreance Dispatch Date | : | 07-Aug-2024 12:00 AM | 
Property Details
| Scheme Name | : | ANAND VIHAR | |||
| Property Id | : | RJJDA1/1823/001475H | Property Number | : | 761 | 
| Zone | : | Zone 12 | Developer Type | : | Cooperative | 
| Developer Name | : | THE RAILWAYMEN GNSS | Area | : | 138 Square Meter | 
| Usage Type | : | Residential | Property Type | : | Plot | 
Bid/Auction Details
| Assessed Property Value as per Bid Start Price (BSP) : 21,39,000.00 (INR) (Actual value will be calculated as per Highest Bid + Other Charges) | |||||
| Bid Start Price (BSP) (INR) | : | 15,500.00 [Per Square Meter] | Minimum Bid Increment Value(INR) | : | 50.00 [Per Square Meter] | 
| Reserve Price (INR)(For Lease/UA Calculation Only) | : | 8,800.00 | Press/Portal Release Date | : | 07-Aug-2024 12:00 AM | 
| EMD Deposit Start | : | 13-Aug-2024 12:00 AM | Auction Start Date | : | 13-Aug-2024 12:00 AM | 
| EMD Deposit End | : | 23-Sep-2024 11:00 AM | Auction End Date | : | 24-Sep-2024 12:30 PM | 
| Online Payment End Date | : | 23-Sep-2024 11:00 AM | NEFT Payment End Date | : | 23-Sep-2024 11:00 AM | 
| Payment Mode | : | NEFT RTGS,Online | |||
| Auction Detail URL | : | Click to view | |||
Fee and EMD Details
Contact Details
| Contact Person(1st) Name | : | Marketing Cell JDA | Mobile Number | : | 9462569696 | Email : | : | property.jda@rajasthan.gov.in | |
| Contact Person(2nd) Name | : | Mobile Number | : | Email : | : | ||||
| Remarks | : | Residential Plot No. 761(Corner) Anand Vihar Scheme, Jaipur | |||||||
Site Visitor Details
| Site Person(1st) Name | : | Mobile Number | : | Email : | : | ||||
| Site Person(2nd) Name | : | Mobile Number | : | Email : | : | ||||
| Remarks | : | NA | |||||||
Documents
Is pre uploading of document required : No
                                Corrigendum/Notification Detail
No Record Found
     
    